メインコンテンツへ フッターへ

配色

  • 通常
  • 白地
  • 黒地

文字

  • 標準
  • 中
  • 大

  • トップページ
  • 学校概要
    • 校長あいさつ
    • 学校紹介
    • 教育目標
    • 校訓・校章
    • 沿革
    • 校時表
    • 学校評価・学校運営の計画
    • 学校支援ボランティア募集
  • うりきたの教育
    • 研究活動
  • 学校生活
    • 主な学校行事
    • 生活目標
    • 各強調週間
    • 委員会活動
    • クラブ活動
  • 学校施設
    • 校内写真
    • 校庭(植物など)
    • 防災・防犯
  • PTA活動
    • PTA活動
    • PTA活動募集
    • PTA規約
  • 校区・地域
    • 校区の様子
    • 校区マップ
    • はぐくみネット
  • リンク
  • 学校いじめ防止基本方針
  • 校則
  • 配布文書
  • 予定表
  • サイトマップ

配色

  • 通常
  • 白地
  • 黒地

文字

  • 標準
  • 中
  • 大
  • トップページ
  • 学校概要
    • 校長あいさつ
    • 学校紹介
    • 教育目標
    • 校訓・校章
    • 沿革
    • 校時表
    • 学校評価・学校運営の計画
    • 学校支援ボランティア募集
  • うりきたの教育
    • 研究活動
  • 学校生活
    • 主な学校行事
    • 生活目標
    • 各強調週間
    • 委員会活動
    • クラブ活動
  • 学校施設
    • 校内写真
    • 校庭(植物など)
    • 防災・防犯
  • PTA活動
    • PTA活動
    • PTA活動募集
    • PTA規約
  • 校区・地域
    • 校区の様子
    • 校区マップ
    • はぐくみネット
  • リンク
  • 学校いじめ防止基本方針
  • 校則
  • 配布文書
  • 予定表

校区マップ

  • トップページ  > 
  • 校区・地域  > 
  • 校区マップ

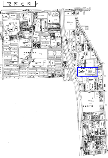
校区マップ

瓜破北小学校の校区マップです。青の囲いが、瓜破北小学校です。

  • トップページ
  • 学校概要
    • 校長あいさつ
    • 学校紹介
    • 教育目標
    • 校訓・校章
    • 沿革
    • 校時表
    • 学校評価・学校運営の計画
    • 学校支援ボランティア募集
  • うりきたの教育
    • 研究活動
  • 学校生活
    • 主な学校行事
    • 生活目標
    • 各強調週間
    • 委員会活動
    • クラブ活動
  • 学校施設
    • 校内写真
    • 校庭(植物など)
    • 防災・防犯
  • PTA活動
    • PTA活動
    • PTA活動募集
    • PTA規約
  • 校区・地域
    • 校区の様子
    • 校区マップ
    • はぐくみネット
  • リンク
  • 学校いじめ防止基本方針
  • 校則
  • 配布文書
  • 予定表

大阪市立瓜破北小学校

大阪市平野区瓜破1丁目8番33号

TEL. 06-6709-0360

  • サイトマップ

アクセス統計

  • 総数:
  • 今年度:
  • 今月:
  • 本日:
「本サイトにおけるすべての著作権は大阪市立瓜破北小学校にあります。 すべての画像、資料などのデータの無断使用を禁止します。 また、このWeb ページにリンクをはる場合は、必ずご連絡をください。